Montería, 24 de julio de 2025. Desde el Centro de Protección y Bienestar Animal Huellas, compartimos una actualización esperanzadora sobre el estado de Karina, la perrita víctima de un brutal ataque en zona rural de Montería.
Según el veterinario Marcos Galeano, coordinador del Centro Huellas, Karina muestra una recuperación alentadora y su estado mejora día a día.

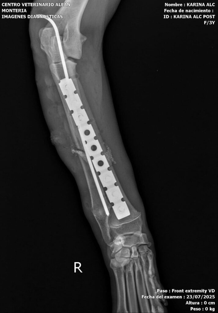
Hoy fue sometida a una tercera cirugía en la mandíbula, en la que se realizó una reconstrucción completa y una reducción total del radio. Además, se le colocó un sustituto óseo a base de silicofosfatos de sodio-calcio en el radio y la ulna.
*Avances en la investigación del caso*
El alcalde Hugo Kerguelén García, quien ha estado haciendo seguimiento al hecho, dijo que la Fiscalía, a través del Grupo Gelma, especializado en la lucha contra el maltrato animal, ha asignado un fiscal especializado para llevar a cabo la investigación penal correspondiente.
«Con el apoyo de tres investigadores del CTI, se están recopilando testimonios, pruebas técnicas y otros elementos de juicio para esclarecer los hechos, en cumplimiento con la Ley Ángel. Un médico veterinario forense de Bogotá colabora en la investigación, analizando las heridas y el estado de salud de Karina para proporcionar un criterio técnico fundamentado», señaló el mandatario.

*Un mensaje claro: en Montería, toda vida vale*
Kerguelén García enfatizó que: «Reafirmamos nuestro compromiso con la protección animal. En Montería, los animales se respetan, y no toleraremos ningún acto de maltrato porque toda vida vale. Seguimos trabajando con celeridad para garantizar justicia en el caso de Karina y para que hechos como este no se repitan. Agradecemos el apoyo de la comunidad y continuaremos informando sobre los avances en la recuperación de la perrita y en la investigación del caso».

